Bought with The Group, LLC
$37,000
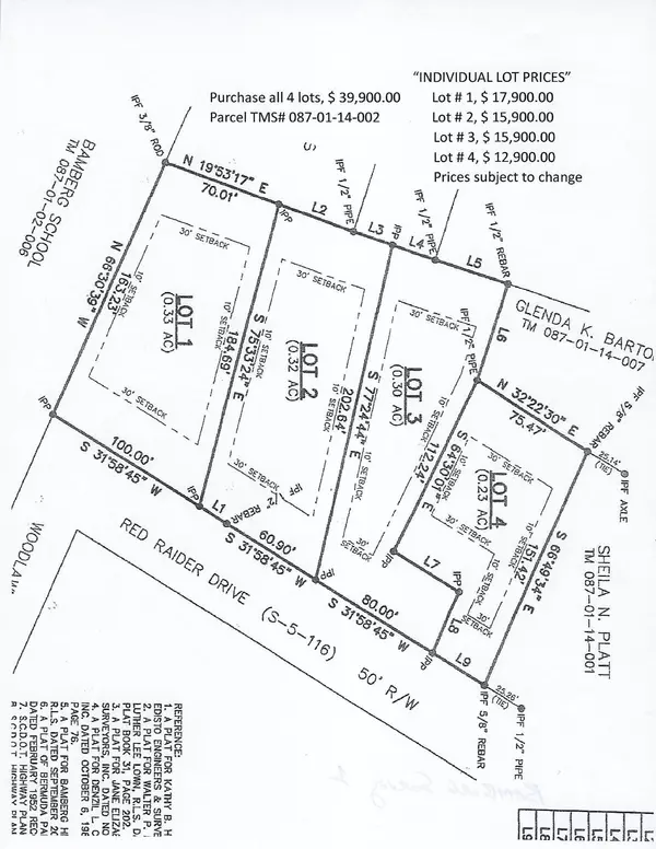
$39,900
7.3%For more information regarding the value of a property, please contact us for a free consultation.
1.18 Acres Lot
SOLD DATE : 05/03/2023
Key Details
Sold Price $37,000
Property Type Vacant Land
Listing Status Sold
Purchase Type For Sale
MLS Listing ID 23005079
Sold Date 05/03/23
HOA Y/N No
Lot Size 1.180 Acres
Acres 1.18
Property Description
1.18 vacant acres located within the City limits of Bamber. City water and sewer are available at the street. This property is located between the Middle and High School in Bamberg. This property was recently surveyed and approved by the City of Bamberg for up to four lots or just purchase a single lot. Future questions about uses/splits should be directed to the City of Bamberg. Property is zoned R10. This property will transfer to the new buyer via. a quit claim deed. Buyers are encouraged to speak to a legal professional in reference to full details of a quit claim deed. Cash sale or owner financing available. Pricing is as follows, Lot 1, $17,900, Lot 2, $15,900, Lot 3, $15,900 and Lot 4, $12,900 or purchase all four lots for $39,900.00
Location
State SC
County Bamberg
Area 81 - Out Of Area
Region None
City Region None
Building
Lot Description 1 - 2 Acres, Level, Split Possible
Schools
Elementary Schools Out Of Area
Middle Schools Out Of Area
High Schools Out Of Area
Others
Acceptable Financing Cash, Conventional, Owner Will Carry
Listing Terms Cash, Conventional, Owner Will Carry
Financing Cash, Conventional, Owner Will Carry
Read Less Info
Want to know what your home might be worth? Contact us for a FREE valuation!

Our team is ready to help you sell your home for the highest possible price ASAP
Get More Information







